Cookies 🍪

Diese Website verwendet Cookies, die Ihre Zustimmung brauchen.

VBPur Immobilien
VBPur Immobilien

Baugrundstücke in Hanglage – zwei Flurstücke mit Potenzial!

Luftansicht mit Markierung Flurstücke

Baugrundstücke in Hanglage – zwei Flurstücke mit Potenzial!

Beschreibung

Zum Verkauf stehen zwei nebeneinanderliegende Flurstücke, die gemeinsam veräußert werden.
Der angegebene Kaufpreis versteht sich als Gesamtpreis für beide Grundstücke.

Die Grundstücke befinden sich in Hanglage in einem gewachsenen Wohnumfeld, das überwiegend von ein- bis zweigeschossigen Ein- und Zweifamilienhäusern geprägt ist. Dadurch ergibt sich eine ruhige, familienfreundliche Nachbarschaft.

Gemäß dem rechtskräftigen Bebauungsplan liegt das Areal in einem Allgemeinen Wohngebiet (WA).
Es gelten folgende baurechtliche Vorgaben:

- Grundflächenzahl (GRZ): 0,25
- offene Bauweise
- Zulässige Gebäudehöhe an der festgelegten Geländeoberfläche bis zur Dachrinne:
* bei eingeschossiger Bauweise: max. 3,50 m
* bei zweigeschossiger Bauweise: max. 6,00 m

Auf Anfrage erhalten Sie alle vorliegenden Unterlagen inkl. Bebauungsplan und Flächennutzungsplan.

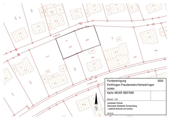
Hinweis: Im Zuge einer aktuellen Vermessung (Flurbereinigungsnachweis) wurde eine geringfügig abweichende Grundstücksfläche festgestellt. Diese liegt um 3 m² unter der im Grundbuch eingetragenen Fläche. Bis zur entsprechenden Berichtigung im Grundbuch gilt die dort ausgewiesene Fläche als rechtlich maßgeblich.

159.000 €

3,57 % Käuferprovision inkl. 19 % MwSt.

Daten und Fakten:

Objektart

Grundstück

Objekttyp

Wohnbaugrundstück

Vermarktungsart

Kauf

ImmoNr

107622

Adresse

75438 Knittlingen

Grundstücksfläche

666,00 m²

Käuferprovision

3,57 % Käuferprovision inkl. 19 % MwSt.

Luftansicht mit Markierung Flurstücke
Lageplan
Luftansicht mit Markierung Flurstücke
Luftansicht mit Markierung Flurstücke
Luftansicht mit Markierung Flurstücke
Straßenansicht
Straßenansicht
Geländeansicht
Luftansicht
Luftansicht
Luftansicht
Luftansicht
Alle Bilder anzeigen (12)

Ausstattung

Angaben zum Energieausweis

Lage

Freudenstein ist ein idyllischer Ortsteil der Stadt Knittlingen im Enzkreis und vereint ländliche Ruhe mit einer hervorragenden Anbindung an die umliegenden Zentren. Umgeben von Feldern, Wiesen und Weinbergen bietet der Ort eine naturnahe Wohnlage mit hohem Erholungswert.

Knittlingen selbst verfügt über eine sehr gute Infrastruktur mit Einkaufsmöglichkeiten für den täglichen Bedarf, Kindergärten, Schule, Ärzten sowie gastronomischen Angeboten. Weiterführende Schulen, umfangreiche Einkaufsmöglichkeiten und zahlreiche Freizeitangebote befinden sich in den nahegelegenen Städten Bretten, Mühlacker und Pforzheim, die in wenigen Fahrminuten erreichbar sind.

Durch die verkehrsgünstige Lage sind sowohl die Bundesstraße B35 als auch die Autobahn A8 (Anschlussstelle Pforzheim-Nord) schnell erreichbar. Dadurch bestehen gute Pendelmöglichkeiten in Richtung Karlsruhe, Stuttgart und Pforzheim. Der öffentliche Nahverkehr ist ebenfalls gut ausgebaut und verbindet Freudenstein zuverlässig mit den umliegenden Ortschaften und Bahnhöfen.

Exposé Anfrage

Anrede *
Herr
Frau
Firma
Familie
Eheleute
Nachlass
Erbengemeinschaft
Vorname *
Name *
E-Mail *
Telefonnummer
Straße & Hausnummer *
PLZ *
Ort *
Wie können wir Ihnen helfen?

Wenn Sie das Kontaktformular zur Übermittlung Ihrer Anfrage benutzen, erklären Sie sich damit einverstanden, dass wir Sie per Telefon und/oder E-Mail bezüglich Ihrer Anfrage sowie dass Sie mit der dazu notwendigen Speicherung Ihrer Daten einverstanden sind.